Starfish I Wish

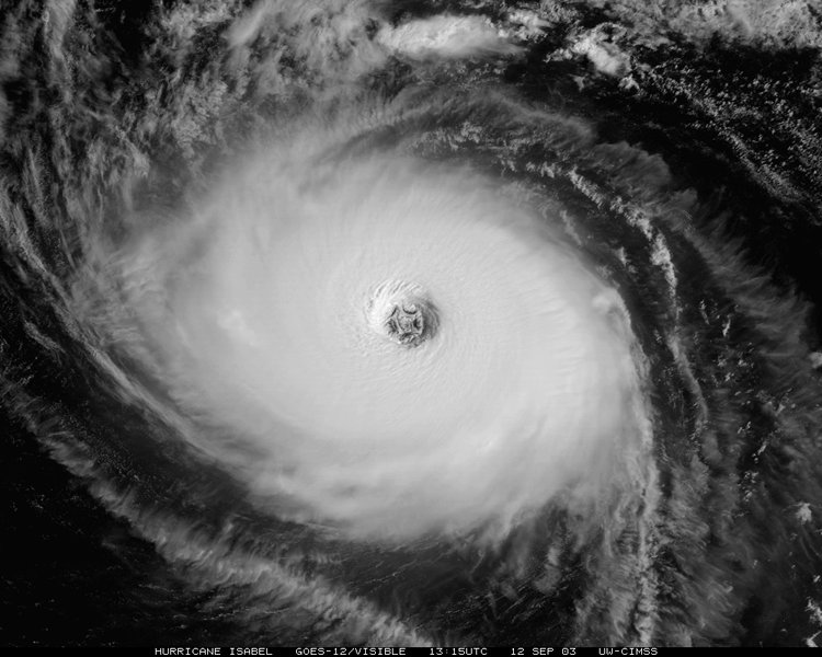
Defense Meteorological Satellite Program (DMSP) image of Hurricane Isabel at 1315 UTC 12 Sep 2003. The “starfish’ pattern in the eye is caused by the presence of six mesovortices – one near the eye center and five surrounding it.
http://journals.ametsoc.org/doi/pdf/10.1175/BAMS-85-2-151
These vacuum strings can split and merge into more or fewer strings per string interactions just as Isabell did over the course of her life as she decayed (read the article)
Godspeed



I remember that storm. The conspiracy/science boards were convinced TPTB had turned on Haarp and were steering the storm. So many radar anomalies with that particular storm.
I am not much for conspiracy theories. I believe Government’s primary role is to protect their citizens. Hurricanes cause a tremendous amount of damage to property and life. I believe the only way you can explain the massive thermodynamic, electromagnetic and gravitational upset is through a quantum model. Once it is properly modeled we can then possibly control/prevent them. In the end, they bring the rains, which is needed for life, so we are in a codependent relationship right now. If I am correct, there is a lot of energy there that has to decay before it goes away. It takes nature months.
Thanks for following,
Stewart